Normally we feature one photo from a reader. Today, we’re posting several photos that tell of a neat underwater experience from John Walsh of Arizona.
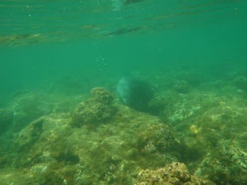
While snorkeling at Tunnels Beach on Kauai this past summer, John noticed bubbles coming up from a hole in the coral and rocks.
He thought the bubbles were coming from a scuba diver and as he was photographing the hole, a monk seal popped out of it.
John tells us that the monk seal approached him – right up to his snorkel mask! He stopped taking photos at that point. Then the seal swam towards the beach.
From there, the seal found a spot on Tunnels Beach to bask and relax.
Mahalo to John for sharing this unique monk seal encounter and photos with us!
—
Just a reminder that Hawaiian monk seals are one of the rarest marine mammals in the world. As such they are endangered and protected. In this encounter that John described, the monk seal approached him. However, if you see a monk seal, authorities ask that you do not approach them. If you see a monk seal on the beach, keep a distance of at least 100 feet away.







4 comments
Oh wow, that must’ve been so amazing. Wow!! Can you imagine??
Matt – I would hope if that ever happened to me that I wouldn’t freak out.:-) I did see 5 -7 foot shark while snorkeling one time in Hawaii. I was surprised that I remained relatively calm on the outside while I swam to the shore with my heart pounding. 🙂
I don’t know what I’d do if I saw a shark, hopefully I’d stay calm like you did. 🙂 But a monk seal looks much less threatening to me, so I don’t think I’d get scared. Hopefully!
How cool Grandpa!!